Introduction:
The VetDR system is a cutting-edge veterinary X-ray imaging solution built upon E-COM proved software platform technology together with supplier chain partners. Leveraging recent advancements in digital X-ray imaging, we've developed a system that exceeds industry standards in both performance and versatility.
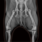
The VetDR system delivers exceptional image quality, empowering veterinarians with precise and detailed diagnostic insights. Advanced imaging technology ensures superior image clarity, contrast, and resolution, enabling accurate diagnosis and treatment planning. The VetDR system offers a comprehensive and efficient solution for your X-ray imaging needs.
Customizable logo printing service. The logo of the system manufacture could be printed anywhere on the mechanical gantryand table.


Place of Origin : China
3908 W 23rd Ave. Vancouver, BC, V6S1L2, Canada.
Copyright © 2026 Roeyu Eterprises Inc. All rights reserved.
Privacy | Terms & Conditions